Fleur - freixenet de los morritos
femelle
Boxer
née le
29/10/2012

Parents Fleur
Papa Fleur
Maman Fleur
Frères et soeurs Fleur
Fleur
Fleur
Fleur
Fleur
Fleur 6 mois
Fleur
Fleur 6 mois 1ère expo
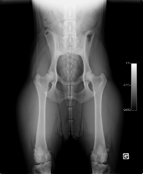
Dyspalsie A/A
SPONDYLOSE
Informations sur Fleur - freixenet de los morritos
| Sexe | Femelle |
| Couleur | Bringée marquée en blanc. Sténose : AS 0 / PS0. Dysplasie : A/A SPD 0 |
| Puce | 941000014594500 |
| Inscrit au LOF ? | LOF |
| N° origine | LOF 145206 |
| Statut | Décédé |
Les parents
Les résultats de Fleur - freixenet de los morritos
EXCELLENT CLASSE OUVERTE
04 / 05 / 2014 - REGIONALE D'ELEVAGE DE BRUYERE
Ville: BRUYERE - LORRAINE - REGIONALE D'ELEVAGE - Juge : Ginette HUFSCHMID
18 mois, grande, carrée, TB ossature Bringé doré marqué en blanc Tête typée avec jolie expression Yeux foncés bien placés TB relation crâne - museau Dentition large en ligne B sortie encolure, poitrail B éclaté, poitrine profonde B ligne dessous, dos droit et ferme B angulations AV-AR TB démarche
